Завтра переїзд на вул.Польовій закриють для транспорту
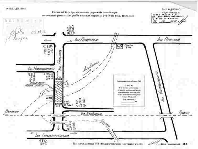
14 серпня з 07.00 до 22.00 год. залізничний переїзд на вул.Польовій у Львові буде закритий для руху транспорту.
Як зазначили у департаменті житлового господарства та інфраструктури Львівської міськради, переїзд закриють у зв’язку з виконанням колійно-ремонтних робіт в межах переїзду на вул.Польовій (2 км + 119 м).
У місцях проведення робіт встановлять необхідні дорожні знаки, інформаційні щити та щити огородження.
Якщо Ви виявили помилку на цій сторінці, виділіть її та
натисніть
Ctrl+Enter